Sassolini in arena
4 messaggi
• Pagina 1 di 1
Sassolini in arena
Ciao,
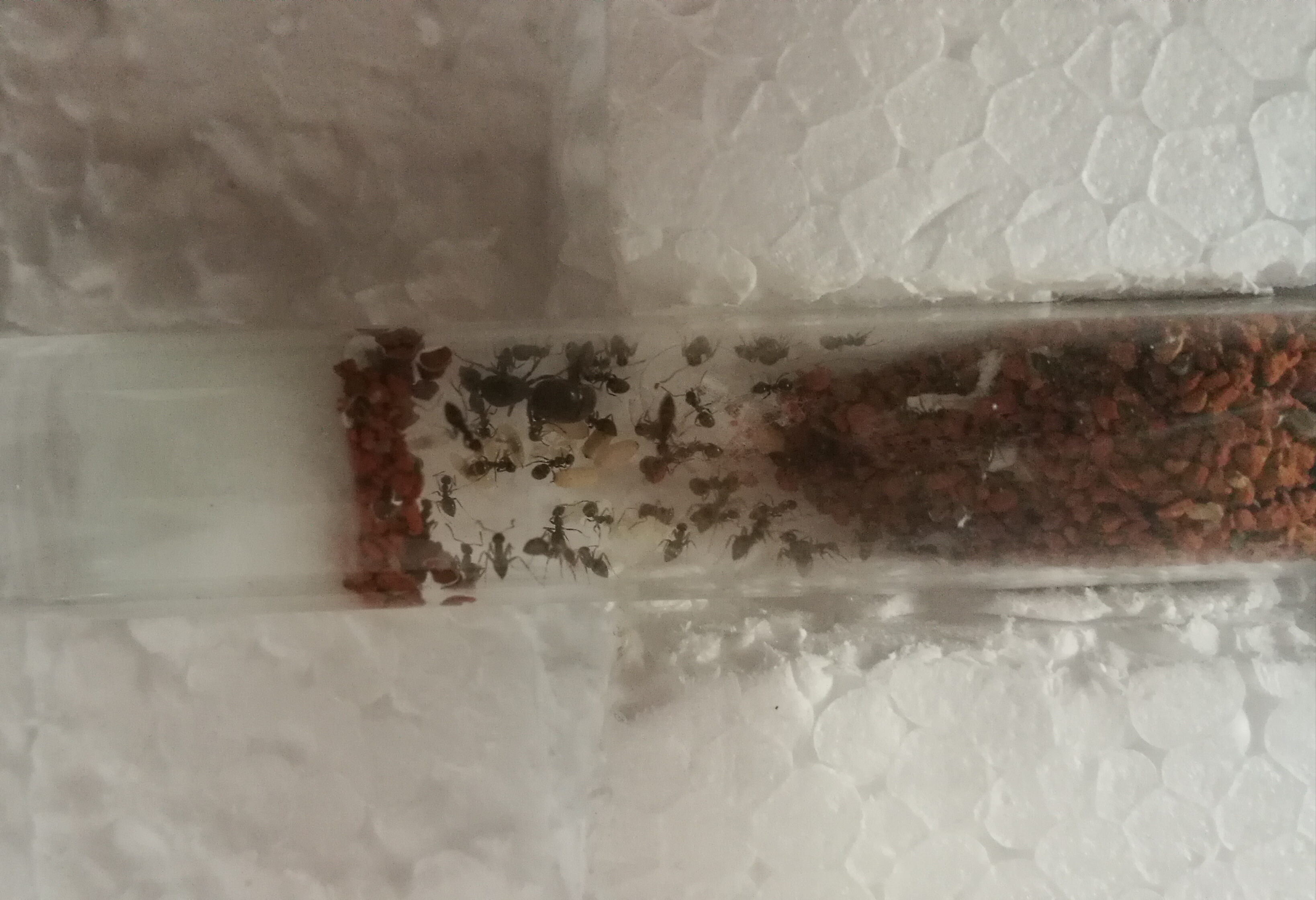
Ho fatto un piccolo esperimento con le Lasius n. in provetta.
Praticamente ho preso un cucchiaio di terra rossa da un campo da tennis, l'ho lavata e ho visto che sono sassolini molto piccoli.
Ho messo tutto nella mini arena.
In un primo momento pensavo di aver fatto una stupidata ma poi ho visto che la usano per regolare la larghezza della "stanza" oltre a ridurre l'umidità diretta del cotone.
Le Messor b. invece hanno ignorato il tutto.
Foto:
Ho fatto un piccolo esperimento con le Lasius n. in provetta.
Praticamente ho preso un cucchiaio di terra rossa da un campo da tennis, l'ho lavata e ho visto che sono sassolini molto piccoli.
Ho messo tutto nella mini arena.
In un primo momento pensavo di aver fatto una stupidata ma poi ho visto che la usano per regolare la larghezza della "stanza" oltre a ridurre l'umidità diretta del cotone.
Le Messor b. invece hanno ignorato il tutto.
Foto:
Spoiler: mostra
Lasius niger + 800 operaie
Lasius emarginatus + 300 operaie
Camponotus herculeanus + 9 operaie
Lasius emarginatus + 300 operaie
Camponotus herculeanus + 9 operaie
- Giacomo Ferraro

- Messaggi: 78
- Iscritto il: 25 nov '16
- Località: Varese
Re: Sassolini in arena
Penso che essendo sabbia potrebbe ucciderle.. per i micro pezzettini di polvere... poi non so, senti i più esperto! 
In Fondazione
Camponotus barbaricus
Camponotus cruentatus
In Allevamento
Crematogaster scutellaris
Camponotus barbaricus
Camponotus cruentatus
In Allevamento
Crematogaster scutellaris
-

Mene 
- Messaggi: 640
- Iscritto il: 13 ott '16
- Località: Roma
Re: Sassolini in arena
no Mene, i piccoli sassolini non sono un problema, solo polvere della finezza del borotalco e sedimenti polverosi che trasudano dai materiali da costruzione industriali possono uccidere le formiche, e avendola lavata e filtrata non è un problema.
più che altro non dare mai materiale da costruzione alle formiche, non è una saggia scelta in quanto lo possono usare per coprire nel tempo la visibilità nel formicaio
più che altro non dare mai materiale da costruzione alle formiche, non è una saggia scelta in quanto lo possono usare per coprire nel tempo la visibilità nel formicaio
-

endervale 
- Messaggi: 992
- Iscritto il: 16 set '16
- Località: Roma
Re: Sassolini in arena
Non ci sono problemi a fornire sassolini o ghiaietto, (ovviamente lavato se prelevato in natura) in arena. Ma come è stato suggerito, meglio non esagerare con le quantità perché potrebbero occultare ogni spazio visibile o addirittura trasferirvisi dentro.
„L'uomo nella sua arroganza si crede un'opera grande, meritevole di una creazione divina. Più umile, io credo sia più giusto considerarlo discendente degli animali.“ _Charles Darwin.
http://pikaia.eu/
http://pikaia.eu/
-

Sara75 
- Messaggi: 2218
- Iscritto il: 12 ott '13
- Località: Genova
4 messaggi
• Pagina 1 di 1
Chi c’è in linea
Visitano il forum: Nessuno e 100 ospiti