Identificazione colonia
1 messaggio
• Pagina 1 di 1
Identificazione colonia
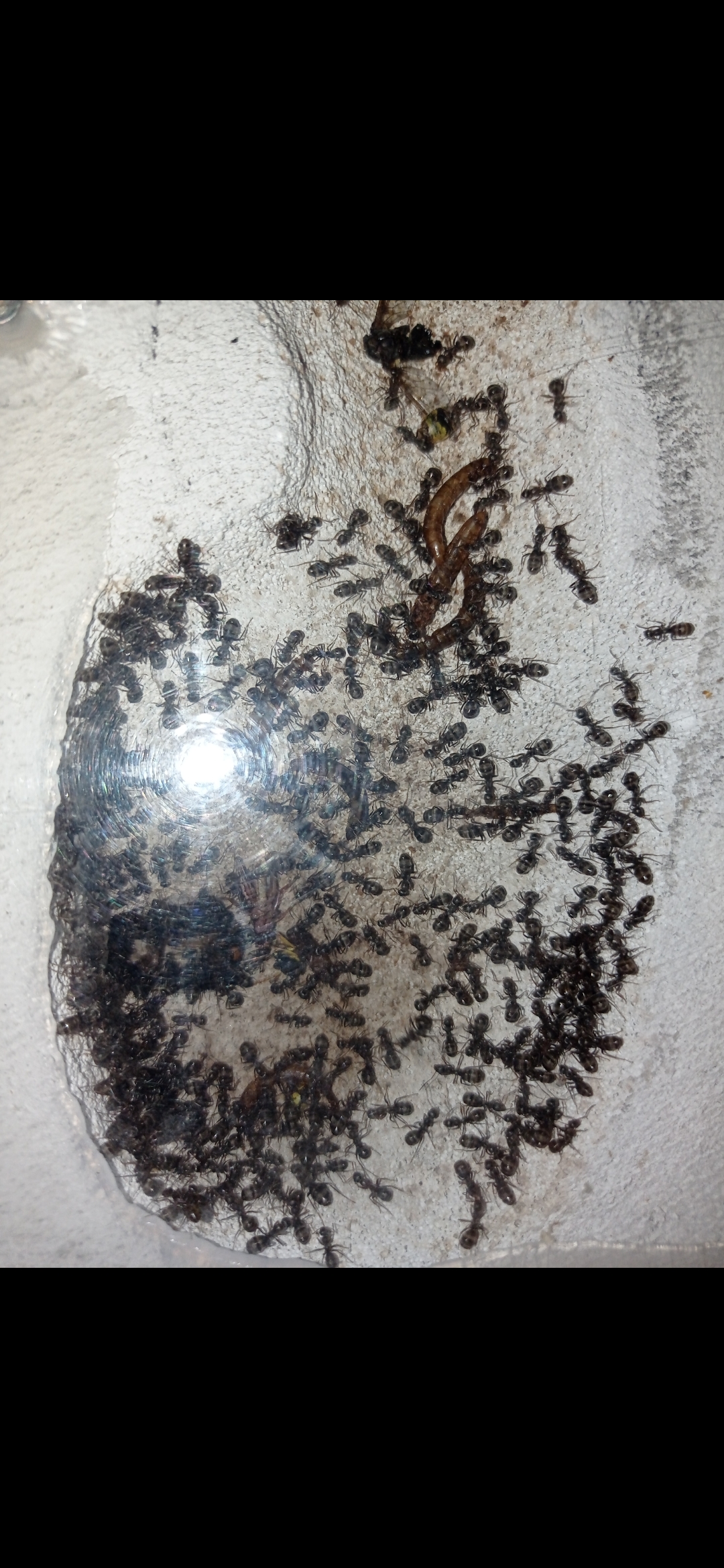
Buongiorno a tutti, da tre anni ho questa colonia di formica sp. con due regine. Vorrei sapere se si può risalire anche alla specie. Per il fatto che sia poliginica credo sia Formica fusca ma non sono affatto sicuro, grazie.
Colonie in allevamento:
Colonie grandi:
Camponotus vagus
Formica sp.
2 regine di Camponotus vagus
Colonie grandi:
Camponotus vagus
Formica sp.
2 regine di Camponotus vagus
-

Anto05 
- Messaggi: 56
- Iscritto il: 3 apr '22
- Località: Savignano sul Rubicone FC
1 messaggio
• Pagina 1 di 1
Torna a Richieste di Identificazione
Chi c’è in linea
Visitano il forum: Bing [Bot] e 48 ospiti