Diario di Lasius niger
24 messaggi
• Pagina 1 di 2 • 1, 2
Diario di Lasius niger
Buonasera a tutti,
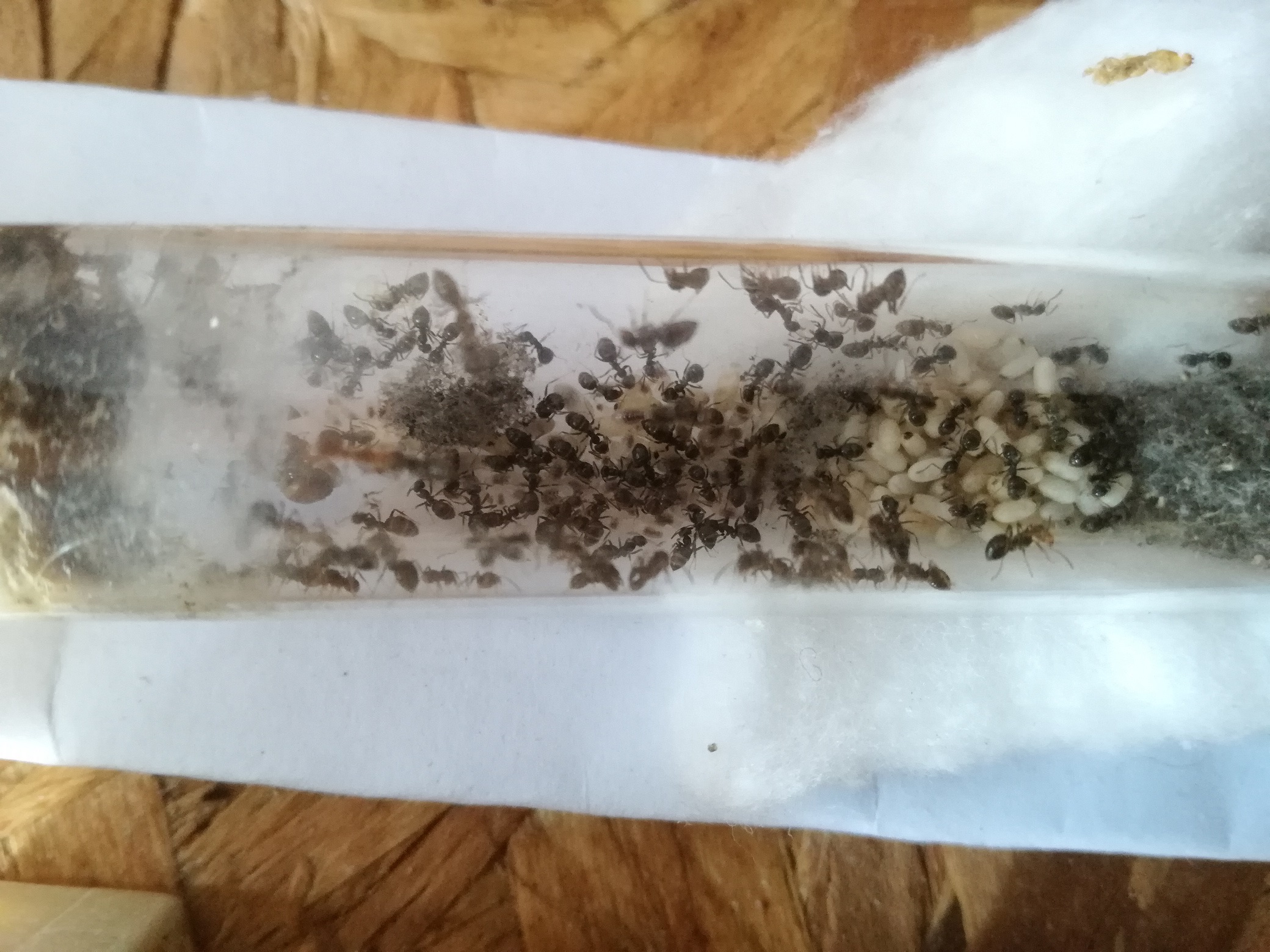
ho deciso di iniziare questo diario dopo essere riuscito a far passare la prima ibernazione con successo a queste due coloniette di Lasius niger, in mio possesso da Novembre 2016.
Le due colonie contano rispettivamente 20 e 12 operaie, le regine hanno ricominciato a deporre copiosamente solo a partire dai primi di Aprile, quando nelle mie zone (provincia di Pisa) le temperature sono aumentate considerevolmente. Al momento la colonia principale ha una covata molto abbondante, con oltre 20 pupe, altrettante larve ed un numero imprecisato di uova (parecchie decine) che formano un ammasso sotto alla regina.
La colonia secondaria invece ha solo 5 pupe, 4 larve e molte uova (anche qui' si parla di varie decine), tuttavia come si vede dalle foto il gastro della regina e' enorme, grazie alla dieta ricca di insetti che fornisco a tutte le mie colonie, ed il surplus di proteine si riflette anche sulla covata
Al momento sono molto soddisfatto e fiducioso, la colonia principale e' stata da pochi giorni collegata ad una mini-arena ricavata da una scatoletta di formaggini Bel Paese, opportunamente modificata con una retina da 0,4mm e tappando i fori con colla a caldo, che sembrano gradire molto. Le operaie escono a foraggiare e sono sempre molto attive, soprattutto la sera.
Perdonate la bassa qualita' delle foto, prometto che le prossime saranno effettuate con attrezzature migliori.
Aggiornero' gli sviluppi
ho deciso di iniziare questo diario dopo essere riuscito a far passare la prima ibernazione con successo a queste due coloniette di Lasius niger, in mio possesso da Novembre 2016.
Le due colonie contano rispettivamente 20 e 12 operaie, le regine hanno ricominciato a deporre copiosamente solo a partire dai primi di Aprile, quando nelle mie zone (provincia di Pisa) le temperature sono aumentate considerevolmente. Al momento la colonia principale ha una covata molto abbondante, con oltre 20 pupe, altrettante larve ed un numero imprecisato di uova (parecchie decine) che formano un ammasso sotto alla regina.
La colonia secondaria invece ha solo 5 pupe, 4 larve e molte uova (anche qui' si parla di varie decine), tuttavia come si vede dalle foto il gastro della regina e' enorme, grazie alla dieta ricca di insetti che fornisco a tutte le mie colonie, ed il surplus di proteine si riflette anche sulla covata
Al momento sono molto soddisfatto e fiducioso, la colonia principale e' stata da pochi giorni collegata ad una mini-arena ricavata da una scatoletta di formaggini Bel Paese, opportunamente modificata con una retina da 0,4mm e tappando i fori con colla a caldo, che sembrano gradire molto. Le operaie escono a foraggiare e sono sempre molto attive, soprattutto la sera.
Perdonate la bassa qualita' delle foto, prometto che le prossime saranno effettuate con attrezzature migliori.
Aggiornero' gli sviluppi

- Allegati
Spoiler: mostra
-

Atramandes 
- Messaggi: 711
- Iscritto il: 31 ott '16
- Località: Cascina (PI)
Re: Diario di Lasius niger
Salve a tutti, aggiorno brevemente questo diario con gli avvenimenti piu' importanti di queste ultime 6 settimane:
-13.05.2017: la colonia grande conta 20 bozzoli+ molte larve e covata, in crescita; Covata piccola molte larve, pochi bozzoli, buona covata; Le colonie iniziano a gradire molto larve di Tenebrio molitor.
-29.05.2017: Colonia principale 50+ operaie, altrettanti bozzoli, enorme covata, presto avranno bisogno di un formicaio; Colonia piccola 15 operaie circa + buona covata e bozzoli, allestita mini arena in gesso. Il consumo di proteine in entrambe le colonie e' aumentato esponenzialmente.
-09.06.2017: Colonia principale 100+ operaie, covata enorme, costruzione del formicaio in gasbeton iniziata; La colonia secondaria e' in piena esplosione demografica, 30+ operaie e grande covata fra larve e bozzoli.
Devo dire che questa specie, seppur snobbata da molti, mi sta dando grandissime soddisfazioni, in particolare e' molto interessante osservare le strategie utilizzate per ghermire ed uccidere prede molto piu' grandi di loro.Sono formichine estremamente aggressive e guerrigliere, adesso non si tirano mai indietro di fronte ad una possibile preda. L'aggressivita' e' andata via via crescendo a mano a mano che nascevano operaie di taglia molto piu' grande rispetto a quelle di prima generazione, addesso sono molto di piu' le operaie i taglia maggiore.
Ho cercato di fornire loro una dieta piu' ricca possibile, somministrando grandi quantita' di insetti fra grilli, Blatta lateralis, larve e pupe di Tenebrio molitor, falene varie e gelatine per coleotteri, oltre all'onnipresente miele fatto in casa sempre molto gradito. Fra le prede c'e' una spiccata preferenze in tutte le colonie per le Blatta lateralis sezionate, che allevo con amore rendendole grasse e appetitose
Adesso aggiungo qualche foto con relative didascalie.
-13.05.2017: la colonia grande conta 20 bozzoli+ molte larve e covata, in crescita; Covata piccola molte larve, pochi bozzoli, buona covata; Le colonie iniziano a gradire molto larve di Tenebrio molitor.
-29.05.2017: Colonia principale 50+ operaie, altrettanti bozzoli, enorme covata, presto avranno bisogno di un formicaio; Colonia piccola 15 operaie circa + buona covata e bozzoli, allestita mini arena in gesso. Il consumo di proteine in entrambe le colonie e' aumentato esponenzialmente.
-09.06.2017: Colonia principale 100+ operaie, covata enorme, costruzione del formicaio in gasbeton iniziata; La colonia secondaria e' in piena esplosione demografica, 30+ operaie e grande covata fra larve e bozzoli.
Devo dire che questa specie, seppur snobbata da molti, mi sta dando grandissime soddisfazioni, in particolare e' molto interessante osservare le strategie utilizzate per ghermire ed uccidere prede molto piu' grandi di loro.Sono formichine estremamente aggressive e guerrigliere, adesso non si tirano mai indietro di fronte ad una possibile preda. L'aggressivita' e' andata via via crescendo a mano a mano che nascevano operaie di taglia molto piu' grande rispetto a quelle di prima generazione, addesso sono molto di piu' le operaie i taglia maggiore.
Ho cercato di fornire loro una dieta piu' ricca possibile, somministrando grandi quantita' di insetti fra grilli, Blatta lateralis, larve e pupe di Tenebrio molitor, falene varie e gelatine per coleotteri, oltre all'onnipresente miele fatto in casa sempre molto gradito. Fra le prede c'e' una spiccata preferenze in tutte le colonie per le Blatta lateralis sezionate, che allevo con amore rendendole grasse e appetitose
Adesso aggiungo qualche foto con relative didascalie.
- Allegati
Spoiler: mostra
-

Atramandes 
- Messaggi: 711
- Iscritto il: 31 ott '16
- Località: Cascina (PI)
Re: Diario di Lasius niger
Salve a tutti,
aggiorno il diario per informarvi che il 4 Luglio 2017 ho spostato la colonia in un piccolo formicaio a doppia facciata costruito con un blocco di gasbeton di 16 cm x 14 cm x 10 cm, le due provette nelle quali alloggiavo la colonia erano ormai piene... penso che il numero di operaie si aggirasse sulle 300, forse di piu'.
L'umidificazione del nido e' quella classica ad immersione in una bacinella, con zampe scolpite nella base del nido, che garantisce all'acqua di risalire dal basso verso l'alto, creando vari gradienti man mano che si sale in superficie... in questo modo sono le formiche a regolarsi in base alle loro necessita'. L'idratazione e' affidata ad un provettone di 20 cm x 2 cm inserito nel nido, non c'e' il serbatoio in arena perche' lo reputavo superfluo.
L'arena non e' altro che una scatola di cioccolatini Ferrero Rocher con il coperchio modificato aggiungendo una retina fine per l'areazione e come ulteriore mezzo antifuga, oltre ad eliminare il rischio di intrusioni esterne. Come substrato e' stato utilizzato solamente qualche sasso e ghiaietto di quarzo molto fine, sterilizzato e lavato, in modo da permettere alle operaie di utilizzarlo a piacimento per chiudere le stanze superflue del nido. Ho scoperto che viene utilizzato anche come ''pavimento'' per diminuire l'umidita' e per tappare i forellini naturali del gasbeton. Non sono formiche particolarmente lucifughe per cui non ho paura che si oscurino alla vista, anche perche' in questi 4 giorni avrebbero avuto tutto il tempo di farlo, sembra anzi che stiano portando fuori del ghiaietto in eccesso, usato i primi giorni per trincerarsi.
Il nido si collega all'arena mediante due tubi in pvc trasparenti, che arrivano in due piccole anticamere nascoste collegate al formicaio da due forellini di 5mm, in modo che le formiche si sentano meno esposte.
La colonia ha subito gradito molto il nuovo nido, in meno di 10 minuti avevano gia' iniziato il trasferimento in massa della covata nelle stanze piu' profonde. Ho potuto assistere a tutta la scena in diretta ed ho fatto un breve video della regina che era molto restia ad abbandonare la provetta... ma dopo vari tentativi e strattonata a forza dalle operaie si e' finalmente spostata nel nido, a breve postero' il suddetto video nel diario
Di seguito ecco qualche foto della nuova sistemazione:
aggiorno il diario per informarvi che il 4 Luglio 2017 ho spostato la colonia in un piccolo formicaio a doppia facciata costruito con un blocco di gasbeton di 16 cm x 14 cm x 10 cm, le due provette nelle quali alloggiavo la colonia erano ormai piene... penso che il numero di operaie si aggirasse sulle 300, forse di piu'.
L'umidificazione del nido e' quella classica ad immersione in una bacinella, con zampe scolpite nella base del nido, che garantisce all'acqua di risalire dal basso verso l'alto, creando vari gradienti man mano che si sale in superficie... in questo modo sono le formiche a regolarsi in base alle loro necessita'. L'idratazione e' affidata ad un provettone di 20 cm x 2 cm inserito nel nido, non c'e' il serbatoio in arena perche' lo reputavo superfluo.
L'arena non e' altro che una scatola di cioccolatini Ferrero Rocher con il coperchio modificato aggiungendo una retina fine per l'areazione e come ulteriore mezzo antifuga, oltre ad eliminare il rischio di intrusioni esterne. Come substrato e' stato utilizzato solamente qualche sasso e ghiaietto di quarzo molto fine, sterilizzato e lavato, in modo da permettere alle operaie di utilizzarlo a piacimento per chiudere le stanze superflue del nido. Ho scoperto che viene utilizzato anche come ''pavimento'' per diminuire l'umidita' e per tappare i forellini naturali del gasbeton. Non sono formiche particolarmente lucifughe per cui non ho paura che si oscurino alla vista, anche perche' in questi 4 giorni avrebbero avuto tutto il tempo di farlo, sembra anzi che stiano portando fuori del ghiaietto in eccesso, usato i primi giorni per trincerarsi.
Il nido si collega all'arena mediante due tubi in pvc trasparenti, che arrivano in due piccole anticamere nascoste collegate al formicaio da due forellini di 5mm, in modo che le formiche si sentano meno esposte.
La colonia ha subito gradito molto il nuovo nido, in meno di 10 minuti avevano gia' iniziato il trasferimento in massa della covata nelle stanze piu' profonde. Ho potuto assistere a tutta la scena in diretta ed ho fatto un breve video della regina che era molto restia ad abbandonare la provetta... ma dopo vari tentativi e strattonata a forza dalle operaie si e' finalmente spostata nel nido, a breve postero' il suddetto video nel diario
Di seguito ecco qualche foto della nuova sistemazione:
- Allegati
Spoiler: mostra
-

Atramandes 
- Messaggi: 711
- Iscritto il: 31 ott '16
- Località: Cascina (PI)
Re: Diario di Lasius niger
Salve a tutti,
aggiorno brevemente il diario per mostrare la crescita di questa colonia negli ultimi 3 mesi circa.
L'afa torrida di Agosto ha accellerato lo sviluppo tanto che in solo un mese sono sfarfallate molte centinaia di operaie, il nido si e' riempito con una velocita' impressionante.
Queste foto sono state effettuate in data 17 Ottobre 2017, ad oggi infatti si sono schiusi molti altri bozzoli e la colonia e' cresciuta di altre 150 operaie circa. Al momento stimo che il nido contenga circa 1200 formiche, probabilmente di piu' dato che la regina e moltissime operaie risiedono nel foro di collegamento tra le due facciate, difficile dire quante siano la' dentro ma il foro ha un diametro di 1cm x 10 cm... se lo illumino con una torcia vedo solo un agglomerato solido di formiche
Con l'arrivo del freddo, non riscaldando la colonia, sto gia' iniziando a notare dei rallentamenti dell'attivita', presto mettero' il nido in ibernazione.
aggiorno brevemente il diario per mostrare la crescita di questa colonia negli ultimi 3 mesi circa.
L'afa torrida di Agosto ha accellerato lo sviluppo tanto che in solo un mese sono sfarfallate molte centinaia di operaie, il nido si e' riempito con una velocita' impressionante.
Queste foto sono state effettuate in data 17 Ottobre 2017, ad oggi infatti si sono schiusi molti altri bozzoli e la colonia e' cresciuta di altre 150 operaie circa. Al momento stimo che il nido contenga circa 1200 formiche, probabilmente di piu' dato che la regina e moltissime operaie risiedono nel foro di collegamento tra le due facciate, difficile dire quante siano la' dentro ma il foro ha un diametro di 1cm x 10 cm... se lo illumino con una torcia vedo solo un agglomerato solido di formiche
Con l'arrivo del freddo, non riscaldando la colonia, sto gia' iniziando a notare dei rallentamenti dell'attivita', presto mettero' il nido in ibernazione.
Spoiler: mostra
-

Atramandes 
- Messaggi: 711
- Iscritto il: 31 ott '16
- Località: Cascina (PI)
Re: Diario di Lasius niger
Wow che crescita esponenziale!
Complimenti!
Complimenti!

-

MikyMaf 
- Messaggi: 2046
- Iscritto il: 4 giu '17
- Località: Brusaporto (BG)
Re: Diario di Lasius niger
MikyMaf ha scritto:Wow che crescita esponenziale!
Complimenti!
Grazie, sara' anche una specie semplice ma mi sta dando enormi soddisfazioni
Spoiler: mostra
-

Atramandes 
- Messaggi: 711
- Iscritto il: 31 ott '16
- Località: Cascina (PI)
Re: Diario di Lasius niger
Complimenti davvero! Anche io ho una colonia di Ladius niger ed ha appena 30/40 operaie… spero di avere una colonia così veloce anche io!
Spoiler: mostra
-

EdoEdo 
- Messaggi: 406
- Iscritto il: 31 mag '17
- Località: Brusaporto (BG)
Re: Diario di Lasius niger
specie strana, la Ladius niger...
comunque C-o-m-p-l-i-m-e-n-t-i

comunque C-o-m-p-l-i-m-e-n-t-i

Non abbiamo bisogno di chissà quali grandi cose o chissà quanti grandi uomini.Abbiamo bisogno di più regine!
Benedetto Croce & FidGot98
Colonie in fondazione
Tetramorium sp.
Lasius paralienus
Solenopsis fugax
Formica cunicularia x2
Formica cunicularia (ceduta temporaneamente)
Benedetto Croce & FidGot98
Colonie in fondazione
Tetramorium sp.
Lasius paralienus
Solenopsis fugax
Formica cunicularia x2
Formica cunicularia (ceduta temporaneamente)
-

FidGot98 
- Messaggi: 475
- Iscritto il: 27 giu '17
Re: Diario di Lasius niger
Buonasera a tutti,
aggiorno brevemente il diario con le ultime notizie, la colonia e' stata risvegliata dall'ibernazione circa un mese fa, adesso ci sono gia' moltissime larve che occupano la parte inferiore di molte stanze. La regina ha deposto i primi di Aprile una copiosa covata che si sta gia' rapidamente sviluppando.
La mortalita' dovuta all'ibernazione e' molto bassa, ho contato una quindicina di cadaveri, tutti di operaie nanitiche del primo anno, la regina e' stata avvistata 3 giorni fa e sembra in ottima salute. Al momento stimo il numero di operaie intorno alle 2000 unita', ma il numero potrebbe variare molto a seconda di quante operaie si nascondono nell'intercapedine fra le due facciate del nido.
Di seguito allego le immagini delle due facciate del nido e delle 3 covate principali in stanze differenti.
aggiorno brevemente il diario con le ultime notizie, la colonia e' stata risvegliata dall'ibernazione circa un mese fa, adesso ci sono gia' moltissime larve che occupano la parte inferiore di molte stanze. La regina ha deposto i primi di Aprile una copiosa covata che si sta gia' rapidamente sviluppando.
La mortalita' dovuta all'ibernazione e' molto bassa, ho contato una quindicina di cadaveri, tutti di operaie nanitiche del primo anno, la regina e' stata avvistata 3 giorni fa e sembra in ottima salute. Al momento stimo il numero di operaie intorno alle 2000 unita', ma il numero potrebbe variare molto a seconda di quante operaie si nascondono nell'intercapedine fra le due facciate del nido.
Di seguito allego le immagini delle due facciate del nido e delle 3 covate principali in stanze differenti.
- Allegati
Spoiler: mostra
-

Atramandes 
- Messaggi: 711
- Iscritto il: 31 ott '16
- Località: Cascina (PI)
Re: Diario di Lasius niger
Wow, bella covata, complimenti! 
Ogni quanto le nutri?
Ogni quanto le nutri?
-

MikyMaf 
- Messaggi: 2046
- Iscritto il: 4 giu '17
- Località: Brusaporto (BG)
Re: Diario di Lasius niger
bella colonia. 
pensi di tenerle in quel formicaio ancora per molto o stai già pensando ad uno un po piu grande?
pensi di tenerle in quel formicaio ancora per molto o stai già pensando ad uno un po piu grande?
Colonie in fondazione:
1x lasius niger
1x lasius flavus
1x Crematogaster scutellaris
1x lasius niger
1x lasius flavus
1x Crematogaster scutellaris
-

NicoAnt33 
- Messaggi: 104
- Iscritto il: 4 dic '16
- Località: Barcelona (Spagna)
Re: Diario di Lasius niger
MikyMaf ha scritto:Wow, bella covata, complimenti!
Ogni quanto le nutri?
Grazie, per adesso le nutro 2 volte a settimana con proteine (2 camole adulte ogni volta o equivalente), mentre i carboidrati cerco di tenerli sempre disponibili tramite un piccolo tappo per provette ripieno di batuffoli di cotone imbevuti di miele, di solito basta inzupparli 2 volte a settimana insieme alle proteine.
Con l'arrivo del caldo estivo pero' aumentero' le somministrazioni a 3 volte a settimana.
NicoAnt33 ha scritto:bella colonia.
pensi di tenerle in quel formicaio ancora per molto o stai già pensando ad uno un po piu grande?
In realta' speravo di usare questo formicaio anche per questa stagione estiva, sempre che regga all'invasione di operaie previste. Ho notato che le operaie si stanno gia' facendo piu' temerarie, sondando i punti deboli del nido per iniziare operazioni di scavo... ma per adesso la situazione e' tranquilla, speriamo bene
Spoiler: mostra
-

Atramandes 
- Messaggi: 711
- Iscritto il: 31 ott '16
- Località: Cascina (PI)
Re: Diario di Lasius niger
Colgo l'occasione per aggiornare il diario, con l'arrivo del caldo torrido estivo si e' verificata l'esplosione demografica prevista per il terzo anno di questa colonia. Le operaie consumano una quantita' di miele e di insetti spaventosa, circa una blatta adulta intera e 8 grosse larve di Tenebrio monitor a settimana.
Sinceramente faccio molta fatica a stimare il numero di formiche presenti adesso nel formicaio, considerando che molte stanze sono letteralmente sature di formiche, tanto da sembrare piene di pece. Ho stimato un numero che va da 5000 a 10.000 operaie, ma finche' non cambio nido e non snodo quei grumi di operaie che riempiono le stanze e' difficile fornire un numero preciso.
Ci sono stanze traboccanti di uova, larve e bozzoli... il nido comincia veramente ad essere troppo piccolo, spero che riesca a reggere fino a Settembre e poi provvedero' a spostarle in un grande nido a torre con una vasta arena. C'e' anche da considerare che hanno iniziato sistematicamente a scavare tutti i materiali morbidi, ho dovuto togliere la provetta serbatoio perche' per ben due volte hanno scavato il cotone del serbatoio, con conseguente inondazione del nido. Ho inserito al posto della provetta un grosso tappo di cotone pressato, che cambio di tanto in tanto, per fornire loro qualcosa da scavare; Ho notato in seguito che il cotone scavato dalle operaie veniva utilizzato per tessere i bozzoli. Al momento la soluzione sembra funzionare bene, le operaie non stanno scavando il nido e si limitano a scavare solo il cotone.
Aggiungo delle foto, purtroppo la facciata del nido in acrilico si e' sbiadita molto e la qualita' delle foto non e' il massimo, chiedo scusa. Entro il prossimo mese acquistero' del materiale da fotografia professionale, in modo da aumentare sensibilmente la qualita' generale delle immagini.
Sinceramente faccio molta fatica a stimare il numero di formiche presenti adesso nel formicaio, considerando che molte stanze sono letteralmente sature di formiche, tanto da sembrare piene di pece. Ho stimato un numero che va da 5000 a 10.000 operaie, ma finche' non cambio nido e non snodo quei grumi di operaie che riempiono le stanze e' difficile fornire un numero preciso.
Ci sono stanze traboccanti di uova, larve e bozzoli... il nido comincia veramente ad essere troppo piccolo, spero che riesca a reggere fino a Settembre e poi provvedero' a spostarle in un grande nido a torre con una vasta arena. C'e' anche da considerare che hanno iniziato sistematicamente a scavare tutti i materiali morbidi, ho dovuto togliere la provetta serbatoio perche' per ben due volte hanno scavato il cotone del serbatoio, con conseguente inondazione del nido. Ho inserito al posto della provetta un grosso tappo di cotone pressato, che cambio di tanto in tanto, per fornire loro qualcosa da scavare; Ho notato in seguito che il cotone scavato dalle operaie veniva utilizzato per tessere i bozzoli. Al momento la soluzione sembra funzionare bene, le operaie non stanno scavando il nido e si limitano a scavare solo il cotone.
Aggiungo delle foto, purtroppo la facciata del nido in acrilico si e' sbiadita molto e la qualita' delle foto non e' il massimo, chiedo scusa. Entro il prossimo mese acquistero' del materiale da fotografia professionale, in modo da aumentare sensibilmente la qualita' generale delle immagini.
- Allegati
Spoiler: mostra
-

Atramandes 
- Messaggi: 711
- Iscritto il: 31 ott '16
- Località: Cascina (PI)
Re: Diario di Lasius niger
Davvero una splendida colonia
complimentoni!!!
complimentoni!!!◇◇◇◇◇◇◇◇◇◇◇◇◇◇◇◇◇◇◇◇◇◇◇◇◇◇◇◇◇◇◇◇◇◇◇◇◇◇◇◇◇◇◇◇◇◇◇◇◇◇◇◇◇◇◇◇◇◇
~~~~~~~~~~~~~~~~~~~~~~~~KODY~~~~~~~~~~~~~~~~~~~~~~~~~~~~~~~~~~~~~~~
______________________________________________________________________________________________________________________________
~~~~~~~~~~~~~~~~~~~~~~~~KODY~~~~~~~~~~~~~~~~~~~~~~~~~~~~~~~~~~~~~~~
______________________________________________________________________________________________________________________________
-

Meant - Messaggi: 140
- Iscritto il: 26 giu '18
- Località: Sicilia
24 messaggi
• Pagina 1 di 2 • 1, 2
Chi c’è in linea
Visitano il forum: Google [Bot] e 64 ospiti